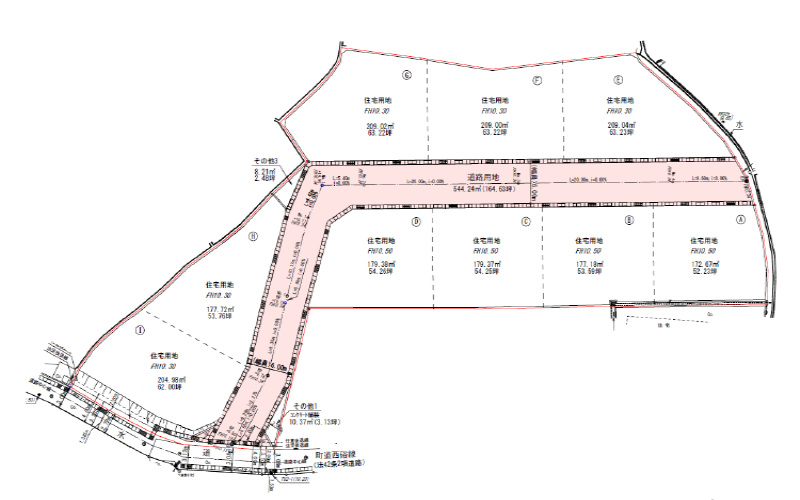
有田郡有田川町下津野 H号地

価格 875.6万円

1/11

物件番号「16919」をお伝えください。

電話でお問合せ LINEでお問合せ

物件情報

価格 875.6万円
坪単価 16.3万円
所在地
有田郡有田川町下津野 H号地 地図
学区 藤並小学校 1,207m/吉備中学校 378m
交通 海南市・有田市・有田郡 有田郡
種目 売地
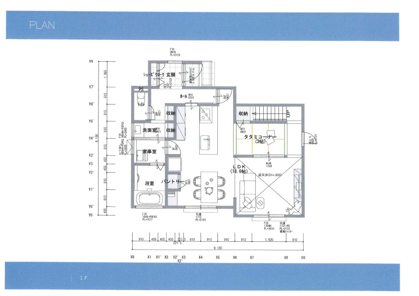
土地面積 177.61m²
私道面積 -
建ぺい率 70%
容積率 200%
地目 宅地
土地権利 所有権
借地料 -
用途地域 無指定
取引態様 売主
現況 更地
建築条件 条件無
引渡時期 相談
諸費用
接道 東 6m(幅員) 私道 位置指定有 20.27m(接面)
セットバック
特色 建築条件なし、分譲地/他区画あり、公営水道/公共本下水/LPG、公共下水受益者負担金¥300,000、水道加入分担金¥148,000、境界ブロック及びフェンス¥9,900/m
※掲載されている物件データが現状と異なる場合は現状を優先します。

更新情報

情報更新日 2026年03月03日
次回更新予定日 2026年03月04日
取引条件有効期限 2026年03月03日

物件番号「16919」をお伝えください。

電話でお問合せ LINEでお問合せ
電話 メール LINE
簡易お問合せ

お名前


メールアドレス


問合せ内容


OK